Февраль 2021 года
15.02.2021 г.
Очередной объект введен в эксплуатацию
В нежилом помещение по адресу: г. Ижевск, ул. Авангардная, 10 нами было выполнена полностью проектная документацию с необходимыми согласованиями, получено разрешение на вырубку аварийных деревьев, получено разрешение на строительство входных групп в нежилое помещение и разрешение на перепланировку в нежилом помещение. Всю работу для заказчика выполнили под ключ.
28.02.2021 г.
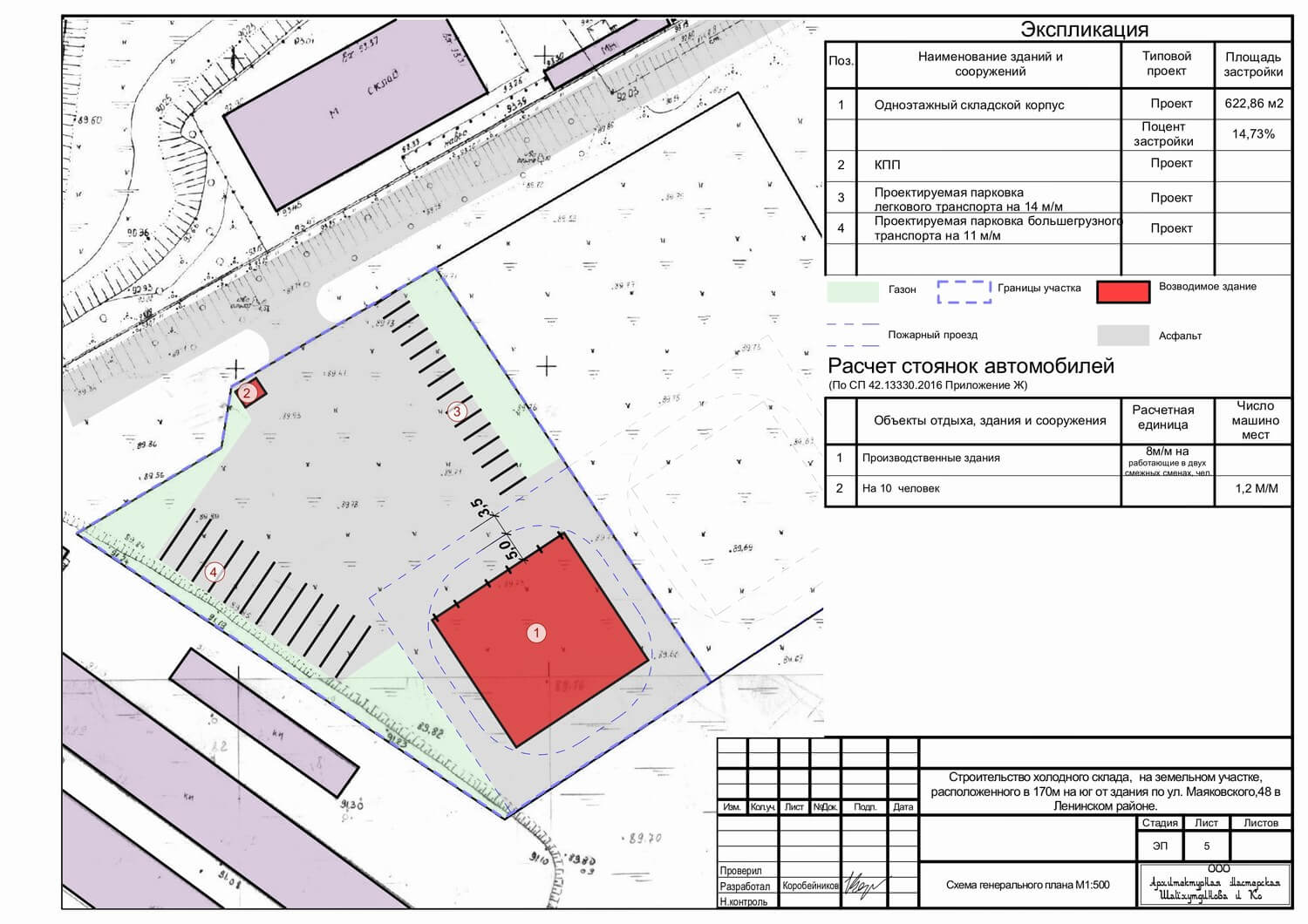
Нами выполнена проектная документация по установлению санитарно-защитной зоны для склада по ул. Маяковского, 48 в городе Ижевске. Данную работу выполнили для заказчика под ключ со сбором исходных данных для проектирования. В дальнейшем мы самостоятельно получим на этот проект санитарно-эпидемиологическое заключение от Управления Роспотребнадзора по Удмуртской Республике.










